
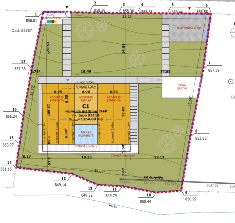
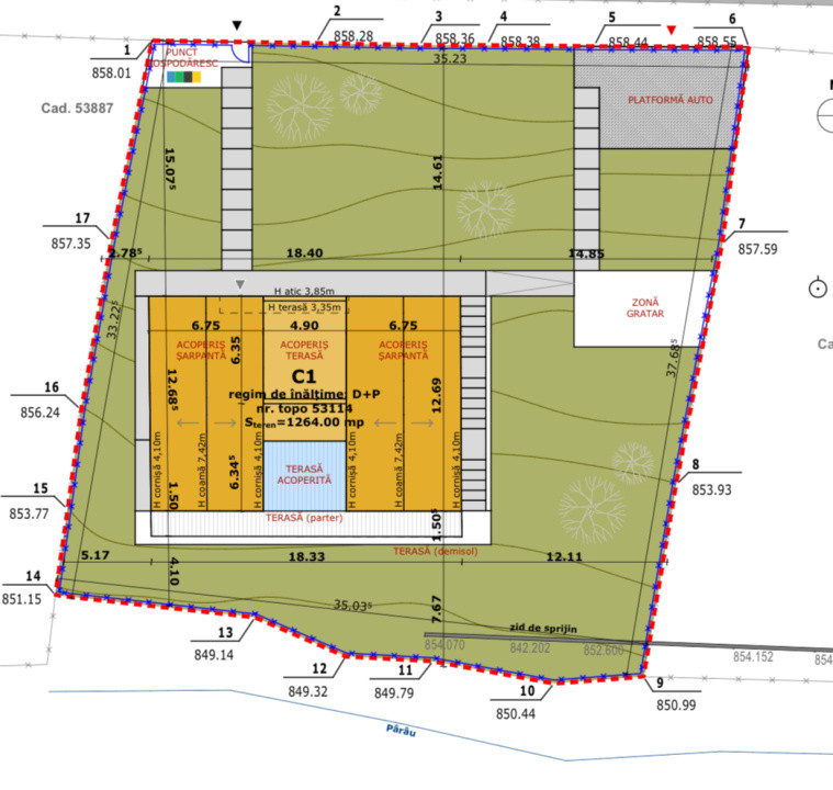
Vă oferim spre vânzare un teren de 1264 mp, situat la 30km de orasul Cluj-Napoca, cu autorizație de construcție pentru o cabana. Pe teren este prezenta partea de fundatie pentru proiectul propus care cuprinde si o zona de aproximativ 100 mp utili cu destinatia de spatii tehnice/crama/sala de fitness etc. Terenul beneficiază de acces direct din strada principală pietruita care urmeaza sa fie asfaltata. Detalii proprietate: Front stradal: 35 m Suprafață utilă a construcției: 305 mp, iar ca si compartimentare casa va fi dispusa astfel: la demisol 100mp compartimentat in 2 incaperi, iar la parter avem 3 dormitoare, living, bucatarie, doua bai la care se adauga si o terasa de aproximativ 40 mp. Pentru mai multe detalii sau pentru a programa o vizionare, va rugam să ne contactați! ID EXTERN: P204790